Izsoles procesa informācija

Sludinājuma reģ.nr:
CITI/1689/2026-EIS
Izsoles sākums:
12.03.2026
Pieteikties var līdz:
01.04.2026 23:59
Izsoles noslēgums:
13.04.2026 13:00
Nosolītās summas apmaksas termiņš:
13.05.2026

Izsoles rīkotājs:
Valsts akciju sabiedrība "Latvijas autoceļu uzturētājs",VAS
Adrese:
Rīga, Krustpils iela 4, LV-1073
Telefons:
67249238
E-pasts:
izsoles.ta@lau.lv

Izsoles kārta:
1.
Izsoles veids:
Ar augšupejošu soli
PVN:
nav
Nodrošinājuma maksa:
€ 4 520.00
Izsoles dalības maksa:
€ 20.00
Rīkotāja dalības maksa :
nav
Sākumcena:
€ 45 200.00
Izsoles solis:
€ 500.00
Aktuālais solījums :
-
Lai nosūtītu lūgumu autorizēt dalībai izsolē, pieslēdzies

Objekta informācija

Izsoles organizētājs: VAS "Latvijas autoceļu uzturētājs", vien.reģ.Nr.40003356530, Krustpils iela 4, Rīga, LV-1073

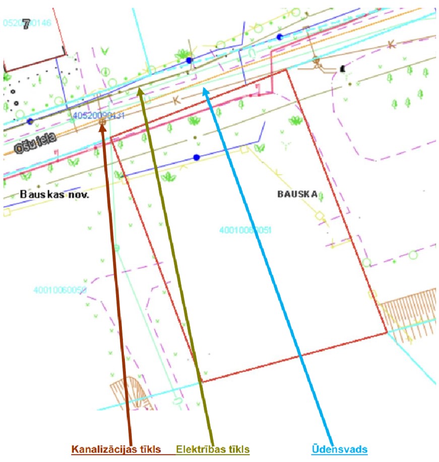
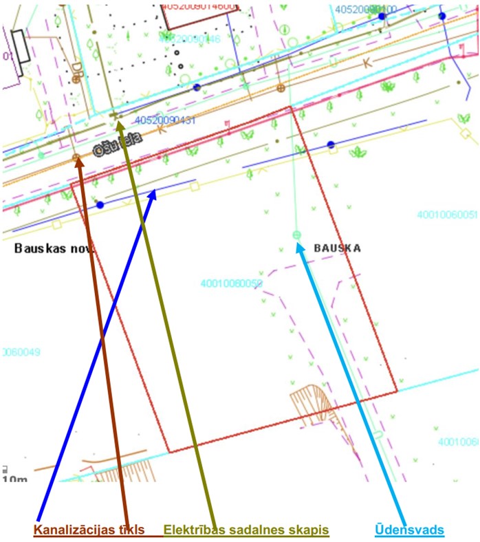
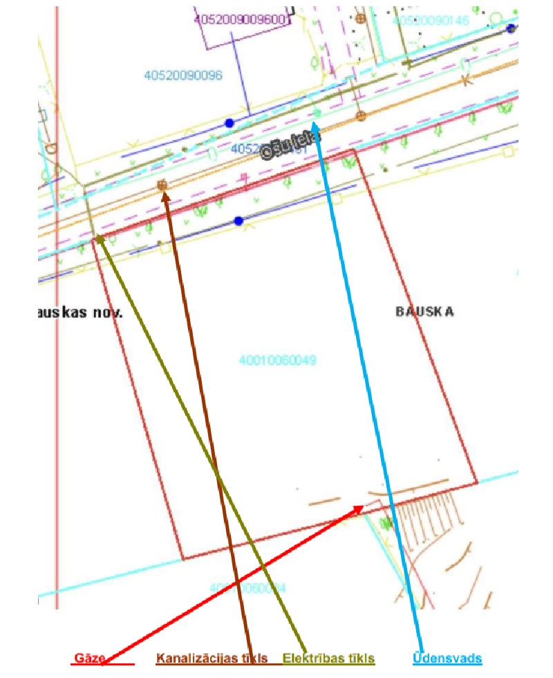
Objekta nosaukums, adrese, kadastra Nr.: Ošu iela 18, Bauska, Bauskas novads, ar kadastra Nr. 4001 006 0055, kas sastāv no zemes vienības ar kadastra apzīmējumu 4001 006 0049, ar kopējo platību 0,1242 ha, Ošu iela 20, Bauska, Bauskas novads, ar kadastra Nr. 4001 006 0056, kas sastāv no zemes vienības ar kadastra apzīmējumu 4001 006 0050, ar kopējo platību 0,1327 ha un Ošu iela 22, Bauska, Bauskas novads, ar kadastra Nr. 4001 006 0057, kas sastāv no zemes vienības ar kadastra apzīmējumu 4001 006 0051, ar kopējo platību 0,1341 ha

Objekta apskates vieta un laiks: darba dienās no plkst. 9:00 līdz 16:00, laiku un vietu iepriekš saskaņojot pa tālr.26443392, vai e-pastu: nid@lau.lv

Objekta izsoles veids, sākuma datums un laiks: Izsoles Objekts tiek pārdots Elektronisko izsoļu vietnē (https://izsoles.ta.gov.lv) ar augšupejošu soli. Izsoles sākuma datums un laiks: 2026.gada 12.marts, plkst. 13.00. Izsoles noslēgums: 2026.gada 13.aprīlis plkst.13:00

Izsoles dalībnieku pieteikumu reģistrācijas vieta, laiks, termiņš: Fiziska persona, kura vēlas savā vai citas fiziskas vai juridiskas personas vārdā piedalīties izsoles rīkotāja izsolē, iesniedz iesniegumu vienā no šādiem veidiem:

1) patstāvīgi, izmantojot elektronisko izsoļu vietni (https://izsoles.ta.gov.lv);

2) klātienē pie zvērināta tiesu izpildītāja vai maksātnespējas procesa administratora, kurš noslēdzis līgumu ar Tiesu administrāciju par izsoļu organizēšanu elektronisko izsoļu vietnē

Dalībnieku reģistrācija tiek izbeigta 2026.gada 1.aprīlī plkst. 23:59

Objekta nosacītā (sākuma) cena: – 45 200,00 EUR (četrdesmit pieci tūkstoši divi simti euro, nulle centi). Paaugstinājuma solis: 500,00 EUR (pieci simti euro, nulle centi). Izsoles cena netiek aplikta ar pievienotās vērtības nodokli

Drošības naudas un reģistrācijas maksas apmērs un iemaksas kārtība:

Izsoles dalībniekiem līdz dalībnieku reģistrācijas beigu termiņam jāpārskaita:

1) Dalības maksa 20,00 EUR (divdesmit euro, nulle centi) apmērā saskaņā ar elektroniski izrakstītu rēķinu elektroniskajā izsoļu vietnē

2) VAS „Latvijas autoceļu uzturētājs", nodokļu maksātāja kods 40003356530, rēķinā - AS SEB, kontā Nr. LV34UNLA0055005883895 Pirkuma nodrošinājumu 4 520,00 EUR (četri tūkstoši pieci simti divdesmit euro, nulle centi)  ar atzīmi „ Nekustamo īpašumu Ošu ielas 18, 20 un 22, Bauska, izsoles pirkuma nodrošinājums”

Pirmpirkuma tiesības: nav

Lietu tiesības/ atzīmes/ apgrūtinājumi: saskaņā ar NĪVKIS norādīto informāciju. Izsoles Objekta Ošu iela 18, Bauska Bauskas novads, ar kadastra Nr. 4001 006 0055, tiesību aprobežojums- ekspluatācijas aizsargjosla gar gāzes vadu ar spiedienu 0,4 MPa aptuveni 24 metru garumā (gāzes vads nekustamā īpašuma apgrūtinājumu plānā nav norādīts visā apjomā). 

Nosolītās summas apmaksas termiņš: 30 dienu laikā pēc izsoles noslēguma datuma

Iepazīties ar izsoles noteikumiem un pirkuma līguma projektu var Elektronisko izsoļu vietnē (https://izsoles.ta.gov.lv), kā arī Izsoles organizētāja mājas lapā (www.lau.lv - sadaļā Nomas pakalpojumi - Nekustamie īpašumi - Pārdošana)

Papildu informācija
Drošības naudas atmaksas kārtība: Izsoles dalībniekiem, kuri nav nosolījuši Objekta iegādes tiesības, 10 (desmit) darba dienu laikā, tiek atmaksāts pirkuma nodrošinājums uz Izsoles dalībnieka elektroniskās izsoļu vietnes Izsoļu dalībnieku reģistrā norādīto bankas norēķinu kontu. Izsoles dalībniekam, kurš par Objektu nosolījis otru augstāko cenu, pirkuma nodrošinājums tiek atmaksāts pēc Izsoles rezultātu apstiprināšanas Izsoles organizētāja valdes sēdē 30 (trīsdesmit) dienu laikā, pēc tam, kad veikta pilna samaksa par nosolīto Objektu. Neatkarīgi no Izsoles rezultātiem, dalības maksa netiek atmaksāta.